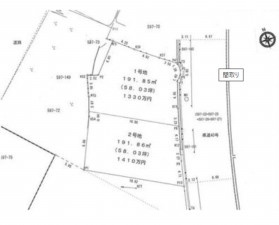
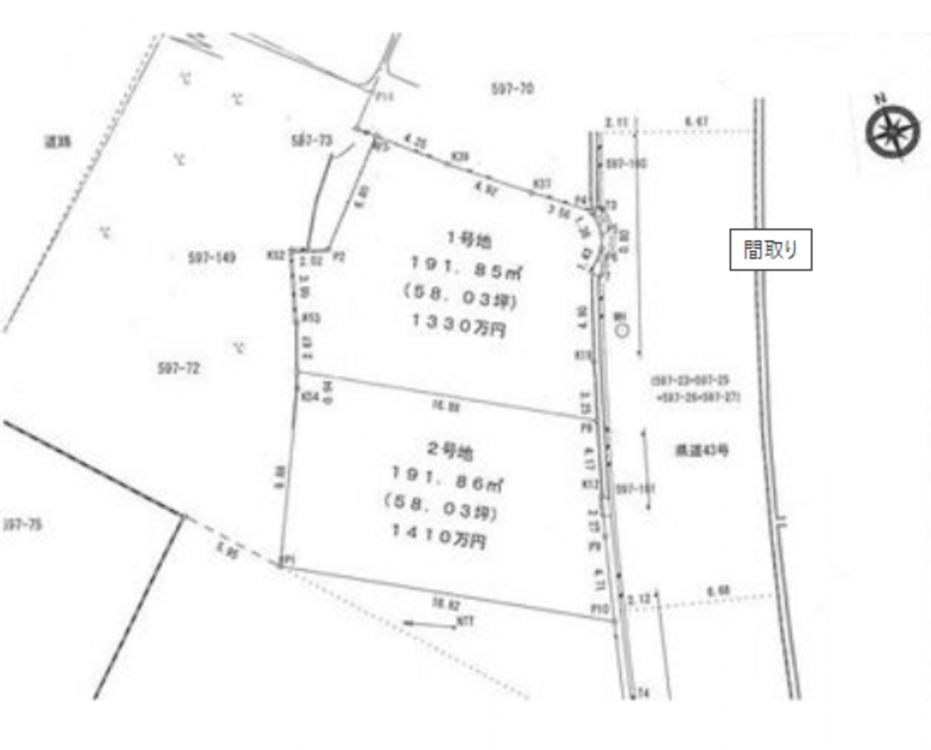
土地 加西市王子町
所在地
加西市王子町
1,330万円
58.03坪
物件概要
- 交通
-
北条線 播磨下里駅 まで 徒歩8分
- 接道状況
- 東側 公道8.7m 間口約11.1m
- 土地面積
- 実測 191.85㎡ (58.03坪)
- 建ぺい率
- 60%
- 容積率
- 200%
- 土地権利
- 所有権
- セットバック
- 無し
- 小学校区
- 下里 (1030m)
- 中学校区
- 善防 (1170m)
- 私道負担
- なし
- 建築条件
- なし
- 地目
- 宅地
- 現況
- 更地
- 引渡時期
- 期日指定 2026年5月 下旬
- 上水道
- 公共
- 下水道
- 公共
- ガス
- プロパン個別
- 都市計画
- 市街化調整区域
- 用途地域
- 設備・条件
- 備考
- 取引態様
- 仲介



